조황관리HOME / 조황관리 / 상세정보

제목 : 유촌 형만레저 선외기 감성돔.농어.문어 마리수조황입니다
등록일 : 2025-09-16




























































안녕하십니까 유촌형만레저 입니다

오늘 선외기 흘림.문어 농어 처박이 조황입니다
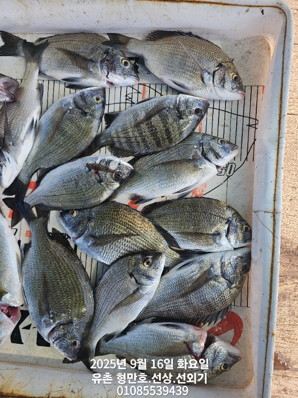
내만권.감성돔.흘림. 마리수 조과입니다.
내만권 문어 나오기시작합니다
오셔서 찐득한 손맛  보시러오세요
출조시 시원한 얼음물 이온음료 챙겨서오세요~^^
무더운 날씨에서도 찐득한 손맛 보시고 오셨습니다 

수요일선외기여유 많습니다

여기저기 히트히트 ~^^
 전원 찐득한 손맛 보시고 철수 하셨습니다
예약은 미리 해주세요~^^
오늘 하루도 수고하셨습니다 

미끼  크릴.혼무시챙겨오세요


선외기 어창.파라솔 준비되어 있습니다

내일.선외기.덴마예약가능합니다
 
◆  선외기  이벤트 합니다! 
자세한 이벤트내용은 형만호 밴드에서 확인 가능합니다.
 ------------------------------------------ 
​<<유촌 형만레저 안내>>

예약전화 


010-8553-9439, 010- 5068-9439


형만레저 선외기,덴마(출조사항) 
<<선외기>>문어

1인 8만원
2인 9만원
3인 11만원
4인 13만원

(루어 출조시 2만원 추가)


<<덴마>>

덴마 1인 6만원, 2일 7만원, 3인 8만원



선비계좌

농협 823018-52-011741김영준


환불규정

5일전100%환불

3일전 50%환불

1일전 환불 불가


예약취소시 위 와같이 환불을해드립니다 

조사님들 양해부탁드립니다

 

<<배타는곳>> 
경남 통영시 도산면 저산유촌길119입니다
#형만레저#선외기#문어#유촌#선상#형만호#통영



*** 통영 형만레저 예약 안내 ***


예약문의 : 

 - 010-8553-9439

 - 010-5068-9439

오시는길 : 경남 통영시 도산면 저산유촌길 119


모바일.jpg



Top