조황관리HOME / 조황관리 / 상세정보

제목 : 유촌 형만레저 선외기 흘림마리수.카고 6짜급 손맛
등록일 : 2026-04-01






















































안녕하십니까 유촌형만레저 입니다

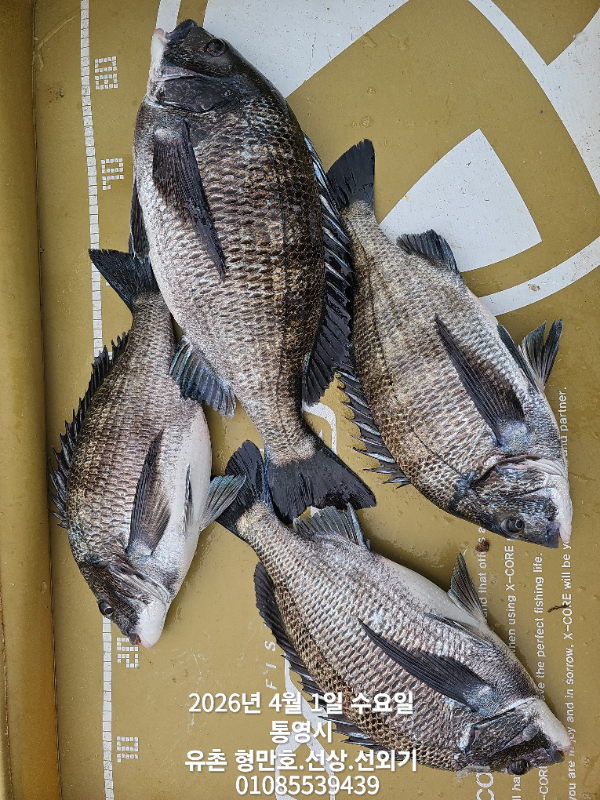
금일.선외기 흘림 한팀 마리수조황과
카고.6짜급.감성돔 조황입니다
내만권까지고기가 많이 들어왔습니다

사정없이 대를가져갑니다
준비들하셔서 손맛 보시러 오세요.
목.2대여유.덴마여유
금.7대여유.덴마여유
토.4대여유.덴마여유
일.선외기 완료.덴마여유

선외기 어창.파라솔 준비되어 있습니다
..선외기예약가능합니다
 
◆  선외기  이벤트 합니다! 
자세한 이벤트내용은 형만호 밴드에서 확인 가능합니다.
 ------------------------------------------ 
​<<유촌 형만레저 안내>>

예약전화 


010-8553-9439, 010- 5068-9439


형만레저 선외기,덴마(출조사항) 
<<선외기>>

1인 8만원
2인 10만원
3인 12만원
4인 14만원

(루어 출조시 2만원추가)


<<덴마>>

덴마 1인 6만원, 2일 7만원, 3인 8만원



선비계좌

농협 823018-52-011741김영준


환불규정

5일전100%환불

3일전 50%환불

1일전 환불 불가


예약취소시 위 와같이 환불을해드립니다 

조사님들 양해부탁드립니다

 https://hyungman.sunsang24.com/ 

<<배타는곳>> 
경남 통영시 도산면 저산유촌길119입니다
#형만레저#선외기#문어#유촌#선상#형만호#통영



*** 통영 형만레저 예약 안내 ***


예약문의 : 

 - 010-8553-9439

 - 010-5068-9439

오시는길 : 경남 통영시 도산면 저산유촌길 119


모바일.jpg



Top