조황관리HOME / 조황관리 / 상세정보

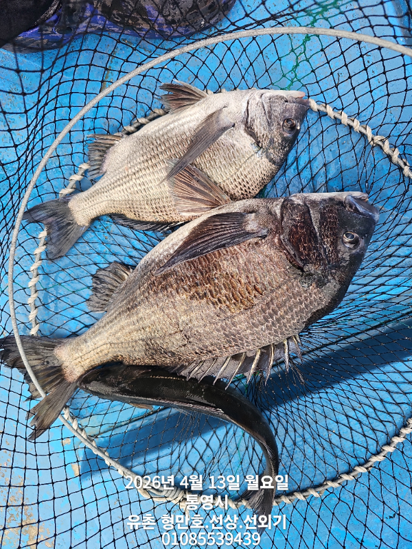
제목 : 유촌 형만레저 선외기 감성돔.흘림카고 5짜4짜4짜4짜 조황입니다.내일여유
등록일 : 2026-04-13



























안녕하십니까 유촌형만레저 입니다

금일.카고.흘림 철수 조황입니다
오늘도아침바람과.너울속에서도 입질이 시원하게 하네요
내일 도전하실분 오세요
내만권까지고기가 많이 들어왔습니다

사정없이 대를가져갑니다
준비들하셔서 손맛 보시러 오세요.
화.선외기여유.덴마여유
수.선외기여유.덴마여유
목.선외기여유.덴마여유
금.선외기여유.덴마여유
토.선외기여유.덴마여유
일.선외기여유.덴마여유
이후 쭉여유 있습니다
선외기 어창.파라솔 준비되어 있습니다
..선외기예약가능합니다
 
◆  선외기  이벤트 합니다! 
자세한 이벤트내용은 형만호 밴드에서 확인 가능합니다.
 ------------------------------------------ 
​<<유촌 형만레저 안내>>

예약전화 


010-8553-9439, 010- 5068-9439


형만레저 선외기,덴마(출조사항) 
<<선외기>>

1인 8만원
2인 10만원
3인 12만원
4인 14만원

(루어 출조시 2만원추가)


<<덴마>>

덴마 1인 6만원, 2일 7만원, 3인 8만원



선비계좌

농협 823018-52-011741김영준


환불규정

5일전100%환불

3일전 50%환불

1일전 환불 불가


예약취소시 위 와같이 환불을해드립니다 

조사님들 양해부탁드립니다

 https://hyungman.sunsang24.com/ 

<<배타는곳>> 
경남 통영시 도산면 저산유촌길119입니다
#형만레저#선외기#문어#유촌#선상#형만호#통영



*** 통영 형만레저 예약 안내 ***


예약문의 : 

 - 010-8553-9439

 - 010-5068-9439

오시는길 : 경남 통영시 도산면 저산유촌길 119


모바일.jpg



Top